family CERAMBYCIDAE Latreille, 1802
subfamily CERAMBYCINAE Latreille, 1802
tribus Clytini Mulsant, 1839
genus Isotomus Mulsant, 1862
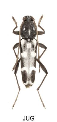
Isotomus speciosus (D. H. Schneider, 1787)












Velikost 11-22 mm.
Bíle tomentovaná imaga bývají uváděna jako Isotomus speciosus ganglbaueri Pic, 1900. Tato subspecie se vyskytuje zejména v Chorvatsku, Bosně Herzegovině a Černé Hoře. Byla chytána také v Řecku, ale společně s nominální formou. Jednotlivá imaga byla nalezena take v Maďarsku a ve vice kusech také na Slovensku v Levicích. Na Zemplínsku jsem našel velká imaga s velmi jemně, krátce a řídce bile tomentovanými krovkami.
Bionomie. Vývoj v odumřelém dřevě listnatých dřevin, ve větvích na stojících stromech i v odřezaných větvích po těžbě, ve vrcholech stromů i slabších kmenech, plotových kůlech, sloupech, ve dřevě použitém ve stavbách, krovech i trámech, v roubených stavbách. Napadá dřevo o průměru od 3 do 35 cm zcela odkorněné i v kůře, nebo s jejími zbytky. Larvy se vyvíjejí zprvu v povrchové vrstvě a pak vstupují i velmi hluboko do dřeva.
Samičky kladou vajíčka často řadu let do stejného materiálu, takže dřevo je pak zcela rozežráno podobně jako u Hylotrupes bajulus na jehličnatých dřevinách. Vývoj víceletý, nejméně dvouletý. Doba vývoje je ovlivněna vlhkostí dřeva. Zimuje jako larva. – Patří mezi pozdní druhy tesaříků, imaga se vyskytují od VI. do VIII., nejčastěji koncem VII. a počátkem VIII. Je denním i nočním druhem. Za parných dnů pobíhají imaga po dříví, jiná jsou ukryta ve štěrbinách a pod dřívím, stejně tak jako za teplých nocí je možné spatřit rojení imag. Na květech jsem nikdy nenašel žádná imaga rodu Isotomus.
Živné rostliny - Fagus, Quercus, Carpinus; dále se uvádí Castanea, Ulmus a Crataegus.
Variabilita. Velmi vzácně se bílé skvrny, nebo pásky rozšiřují a spojují. Lokálně se vyskytují imaga více nebo méně šedě tomentovaná (viz výše).
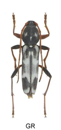
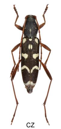
Isotomus barbarae Sama, 1977



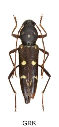
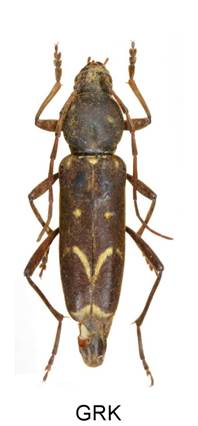
Isotomus jarmilae Sláma, 1982









Isotomus comptus (Mannerheim, 1825)
Isotomus comptus comptus (Mannerheim, 1825)

Isotomus comptus maculicollis Holzschuh, 1989






Isotomus theresae (Pic, 1897)

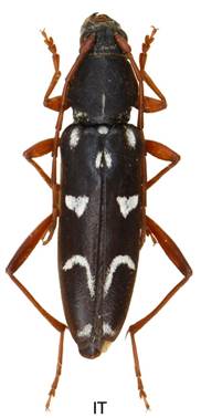
Isotomus speciosus D. H. Schneider, 1787 SK Hlivištia
Roubená stavba z bukového (Fagus) dřeva napadená Isotomus speciosus.
Dolní vlhké části byly napadeny Rosalia alpina



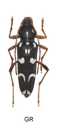
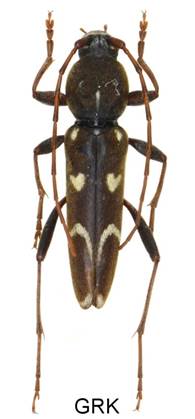
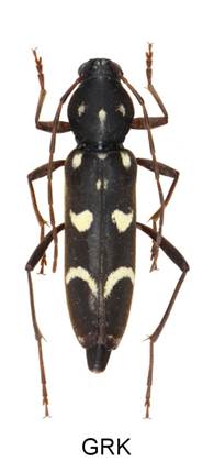
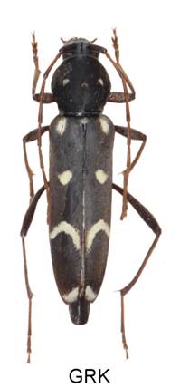
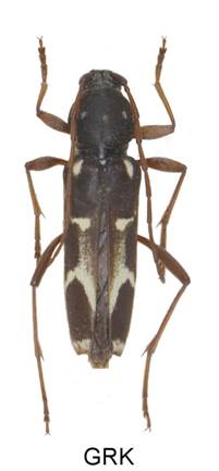
Isotomus jarmilae Sláma, 1982 GRK Quercus
Velké otvory jsou Isotomus jarmilae, malé Pseudosphegestes bergeri




